Domů Přehled aktualit

VYSAZOVÁNÍ 12. TÝDEN

VYSAZOVÁNÍ 12. TÝDEN

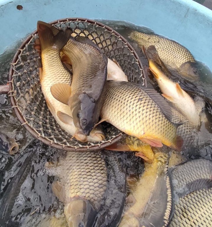
Jarní vysazování pokračovalo i v tomto týdnu. Tržního kapra bylo vysazeno 18370 kg o průměrné hmotnosti od 1,9 až 2,8 kg/ks. Násad kapra do chovných rybníků  místních organizací bylo vysazeno 3650 kg kusové hmotnosti 0,2 – 0,6 kg. Dále byl vysazen roček Bolena 7400 ksdvouroček Jelce jesena 2100 ks, ročka Jesena 8700 ks a dvouročka Síha 770 ks

 

Kapr tržní 18370 kg – MO Nechanice 3200 kg, MO Chroustovice 800 kg, MO Vysoké Mýto 800 kg, MO Moravany 400 kg, MO Hrochův Týnec 400 kg, MO Jaroměř 800 kg, MO Králíky 1200 kg, ÚN Rozkoš 1350 kg, MO Třebechovice 1200 kg, MO Častolovice 500 kg, MO Lípa nad Orlicí 1000 kg, MO Košťálov 1000 kg, MO Jilemnice 500 kg, MO Chlumec nad Cidlinou 1400 kg, MO Hradec Králové 3000 kg, MO Lipnice 150 kg, MO Přibyslav 670 kg

 

Násada – rybochovné zařízení MO a revíry místního významu  –  MO Hrochův Týnec 800 kg, MO Jaroměř 800 kg, MO Králíky 400 kg, MO Starý Ples 550 kg, MO Košťálov 500 kg, MO N. Paka 600 kg

 

Bolen roček 10-12 cm 7400 ks – MO Pardubice

 

Jelec jesen 8 – 15 cm 10800 ks – MO Havlíčkův Brod 2100 ks, MO Starý Ples 8700 ks
 


Síh maréna dvou letá násada 770 ks – MO Havlíčkův Brod 500 ks, MO Přibyslav 270 ks

Zpět na výpis aktualit