Domů Přehled aktualit

Severočeský územní svaz - hájené druhy ryb

Severočeský územní svaz - hájené druhy ryb

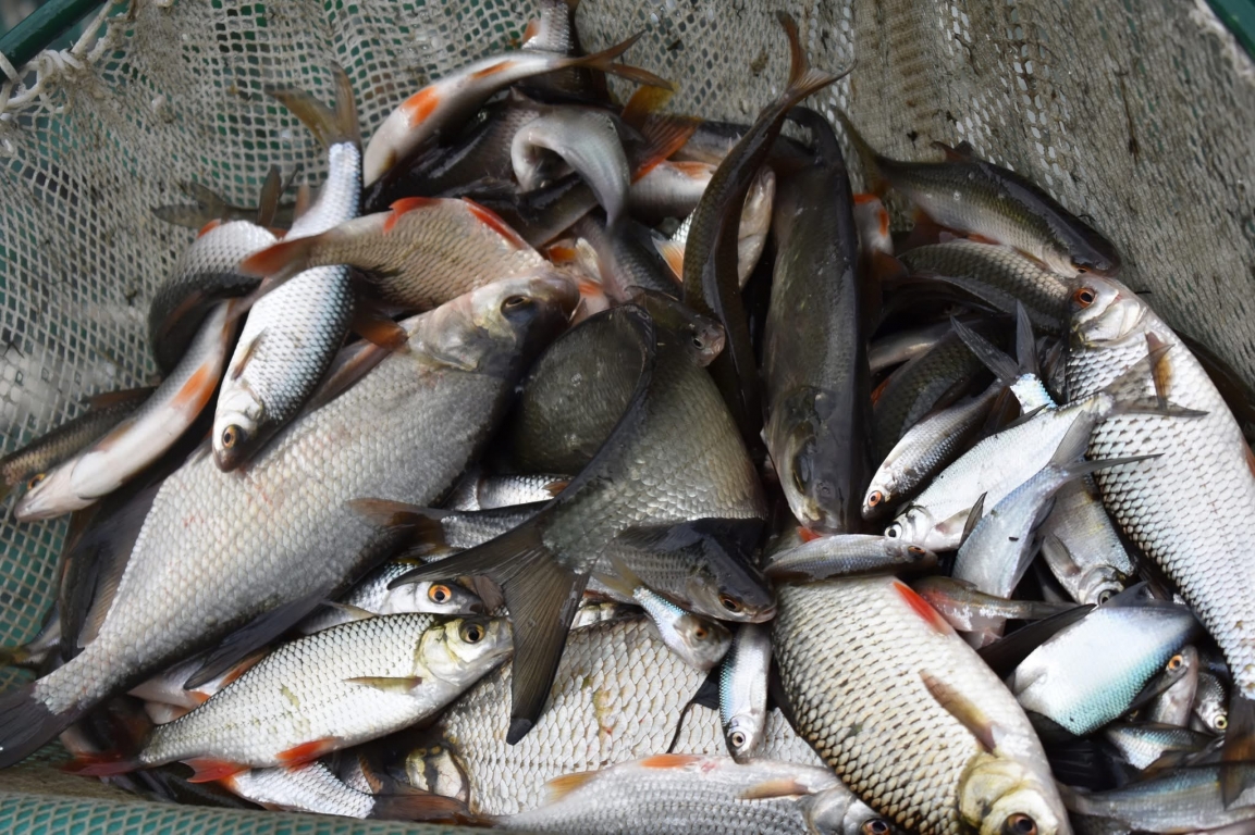
Od 16.3. do 31.5. jsou na všech mimopstruhových revírech Severočeského územního svazu hájeny uvedené druhy ryb: cejn velký, cejnek malý, plotice obecná, perlín ostrobřichý, karas obecný, ouklej obecná, hrouzek obecný, slunka obecná, ježdík obecný.
 

Jedná se o třetí a zároveň poslední plošnou změnu v bližších podmínkách výkonu rybářského práva (BPVRP) na MP revírech Severočeského územního svazu pro tento rok. Primárním cílem opatření je ochrana populací bílé ryby v době tření, sekundárním pak podpora rozvoje populací dravců, které jsou na populacích bílé ryby z velké části závislé. O podporu populací bílé ryby se snažíme dlouhoběji, např. na ÚN Nechrachice spolupracujeme s Povodí Ohře, s. p., které nám dle možností vychází vstříc ohledně manipulace s vodní hladinou v době tření bílé ryby, stejně tak u této kategorie ryb každoročně překračujeme platné zarybňovací plány. Prezentované opatření je tak dalším krokem, kterým se snažíme o podporu populací bílé ryby a dravců v našich revírech. S ohledem na termín hájení je zároveň prostor pro rybáře, ulovit si nástražní rybky před zahájením sezóny dravců na MP vodách. Děkujeme za dodržování platných pravidel, na které bude RS rovněž dohlížet, a přejeme Petrův zdar!

Zpět na výpis aktualit